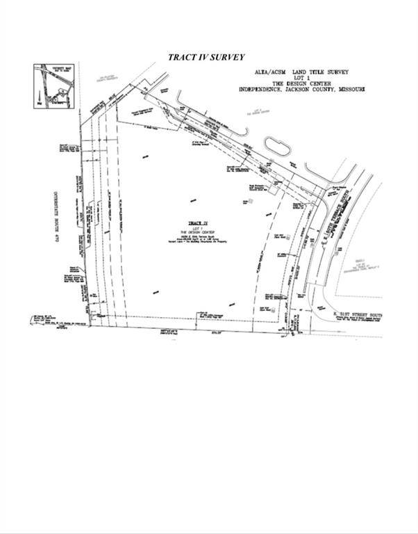
19250 E 50th Terrace, Independence, MO 64055

Mortgage Calculator

$530,000
 est. $2,940/mo

291 Highway visibility zoned C2, Commercial Business. Great area, quickly growing, easy highway access, and high volume traffic. Hotels, restaurants, and shopping are all within a quarter mile. The lot is fully developed with utilities on-site. Can sell as a package with total of 4.33 acres with 2 tracts of land - Please refer to 19255 E 50th Ter S listing

Directions
From 291 S take exit 16A to US-40 E, turn left onto US-40 E, turn right onto Little Blue Pkwy, turn right onto E 50th Ter, lot will be on the left.
Subdivision
Other
City
Independence
County
Jackson
Property Type
Land / Unimproved Land
Listing Updated
Jan 21, 2025 at 11:01am
MLS Number
2471100
Property Tax
$11,401
Zoning
$C2
Home Owners Association
No
Disclaimer
The information displayed on this page is confidential, proprietary, and copyrighted information of Heartland Multiple Listing Service, Inc. (“Heartland MLS”). Copyright 2025, Heartland Multiple Listing Service, Inc. Heartland MLS, Elite Realty and Agent Jo do not make any warranty or representation concerning the timeliness or accuracy of the information displayed herein. In consideration for the receipt of the information on this page, the recipient agrees to use the information solely for the private non-commercial purpose of identifying a property in which the recipient has a good faith interest in acquiring.
The data relating to real estate displayed on this website comes in part from the Heartland Multiple Listing Service database compilation. The properties displayed on this website may not be all of the properties in the Heartland MLS database compilation, or all of the properties listed with other brokers participating in the Heartland MLS IDX program. Detailed information about the properties displayed on this website includes the name of the listing company.
Information is deemed reliable but is not guaranteed.

Copyright © 2025 ELITE Realty.